Prezentacja dokumentu:
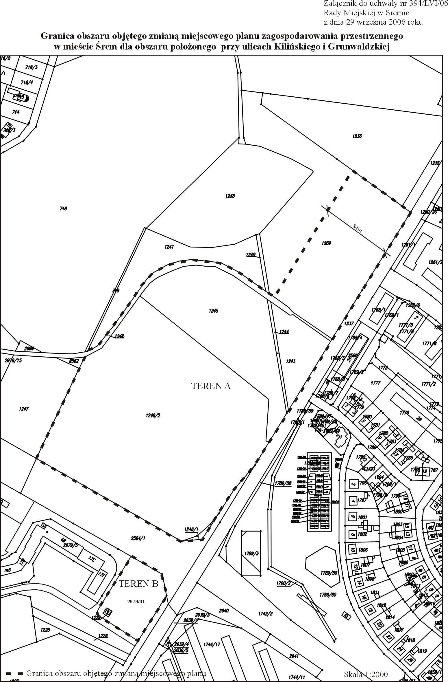
nazwa: Granica obszaru objętego zmiana miejscowego planu.
numer: 394/LVI/06/ZAL1
opis: Załącznik dokumentu
autor: Zofia Kłak
opublikował
w systemie obiegu dokumentów: Zofia Kłak
status: Obowiązujący
z dnia: (2008-06-25)
data modyfikacji
w systemie obiegu dokumentów: (2008-06-25)
ważny do:
treść:
 Granica obszaru objętego zmiana miejscowego planu.
 Granica obszaru objętego zmiana miejscowego planu.
				(655  KB)
				Udostępnił:
				Wartecki Adrian
				(2008-06-26 10:55:32)
			Ostatnio
					zmodyfikował:
				
				
			załączniki:
 
			