Sprzedaż nieruchomości położonej w Nochowie przy ul. Bocznej
-
ogłoszenie o wyniku V przetargu na sprzedaż nieruchomości położonej w Nochowie przy ul. Gościnnej i Bocznej.doc
Typ pliku: DOC, Rozmiar: 62 KBWytworzył:Sawicki MarcinUdostępnił:Wartecki Adrian(2013-02-28 14:40:14)Ostatnio zmodyfikował: -
Piąty publiczny nieograniczony przetarg ustny na sprzedaż nieruchomości niezabudowanej, położonej w Nochowie w rejonie ulic Gościnnej i Bocznej.doc
Typ pliku: DOC, Rozmiar: 130 KBWytworzył:Sawicki MarcinUdostępnił:Wartecki Adrian(2013-01-24 12:07:49)Ostatnio zmodyfikował: -
Ogłoszenie o wyniku IV przetargu na sprzedaż nieruchomości położonej w Nochowie przy ul. Gościnnej i Bocznej
Typ pliku: DOC, Rozmiar: 61 KBWytworzył:Sawicki MarcinUdostępnił:Wartecki Adrian(2012-11-12 14:28:51)Ostatnio zmodyfikował: -
ogłoszenie o IV przetargu na sprzedaż nieruchomości położonej w Nochowie przy ul. Bocznej
Typ pliku: DOC, Rozmiar: 129 KBWytworzył:Sawicki MarcinUdostępnił:Wartecki Adrian(2012-09-21 14:54:13)Ostatnio zmodyfikował: -
ogłoszenie o wyniku III przetargu na sprzedaż nieruchomości położonej w Nochowie przy ul. Gościnnej i Bocznej
Typ pliku: DOC, Rozmiar: 61 KBWytworzył:Sawicki MarcinUdostępnił:Wartecki Adrian(2012-09-11 14:41:50)Ostatnio zmodyfikował: -
ogłoszenie o III przetargu na sprzedaż nieruchomości położonej w Nochowie przy ul. Bocznej.doc
Typ pliku: DOC, Rozmiar: 186 KBWytworzył:Sawicki MarcinUdostępnił:Wartecki Adrian(2014-07-14 07:51:49)Ostatnio zmodyfikował: -
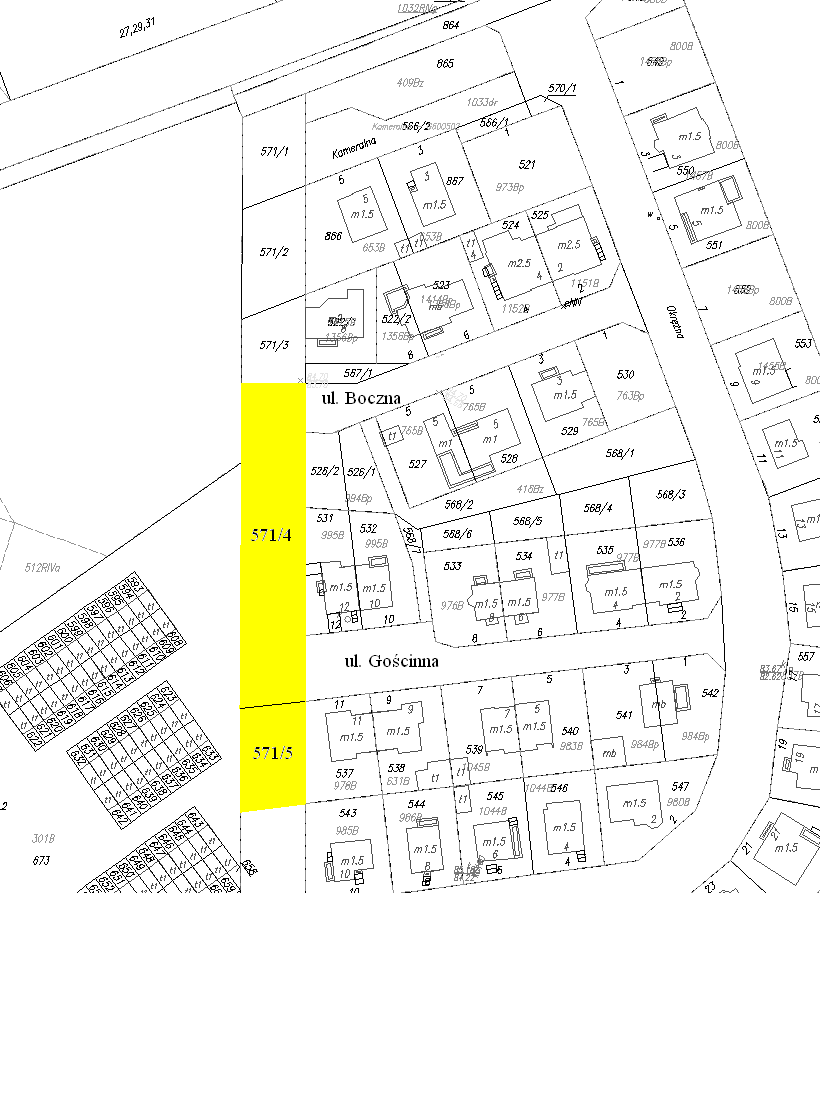
mapa ewidencyjna.bmp
Typ pliku: BMP, Rozmiar: 2 MBWytworzył:Sawicki MarcinUdostępnił:Wartecki Adrian(2014-07-14 07:51:48)Ostatnio zmodyfikował: -
zdjęcie 1 - widok na działkę.jpg
Typ pliku: JPG, Rozmiar: 784 KBWytworzył:Sawicki MarcinUdostępnił:Wartecki Adrian(2014-07-14 07:51:48)Ostatnio zmodyfikował: -
zdjęcie 2 widok na działkę.jpg
Typ pliku: JPG, Rozmiar: 775 KBWytworzył:Sawicki MarcinUdostępnił:Wartecki Adrian(2014-07-14 07:51:48)Ostatnio zmodyfikował: -
zdjęcie 3 - widok na działkę z ul. Bocznej.jpg
Typ pliku: JPG, Rozmiar: 722 KBWytworzył:Sawicki MarcinUdostępnił:Wartecki Adrian(2014-07-14 07:51:48)Ostatnio zmodyfikował: -
zdjęcie 4 - widok na działkę.jpg
Typ pliku: JPG, Rozmiar: 772 KBWytworzył:Sawicki MarcinUdostępnił:Wartecki Adrian(2014-07-14 07:51:48)Ostatnio zmodyfikował: -
zdjęcie 5 - widok na działkę oraz ul. Boczną.jpg
Typ pliku: JPG, Rozmiar: 780 KBWytworzył:Sawicki MarcinUdostępnił:Wartecki Adrian(2014-07-14 07:51:48)Ostatnio zmodyfikował: -
zdjęcie 6 - widok na działkę.jpg
Typ pliku: JPG, Rozmiar: 795 KBWytworzył:Sawicki MarcinUdostępnił:Wartecki Adrian(2014-07-14 07:51:48)Ostatnio zmodyfikował: -
zdjęcie 7 - widok na działkę oraz ul. Gościnną.jpg
Typ pliku: JPG, Rozmiar: 771 KBWytworzył:Sawicki MarcinUdostępnił:Wartecki Adrian(2014-07-14 07:51:48)Ostatnio zmodyfikował: -
zdjęcie 8 - widok na działkę, część objęta umową dzierżawy.jpg
Typ pliku: JPG, Rozmiar: 703 KBWytworzył:Sawicki MarcinUdostępnił:Wartecki Adrian(2014-07-14 07:51:48)Ostatnio zmodyfikował: